Matlab GUI程序打包成.exe的功能,对Matlab GUI程序而言,无疑是一种解脱。
比如,重在算法设计和数据测试的自动驾驶ADAS感知系统。
流程
第一步:打开编译工具
在Matlab命令窗口,输入 deploytool函数。
deploytool
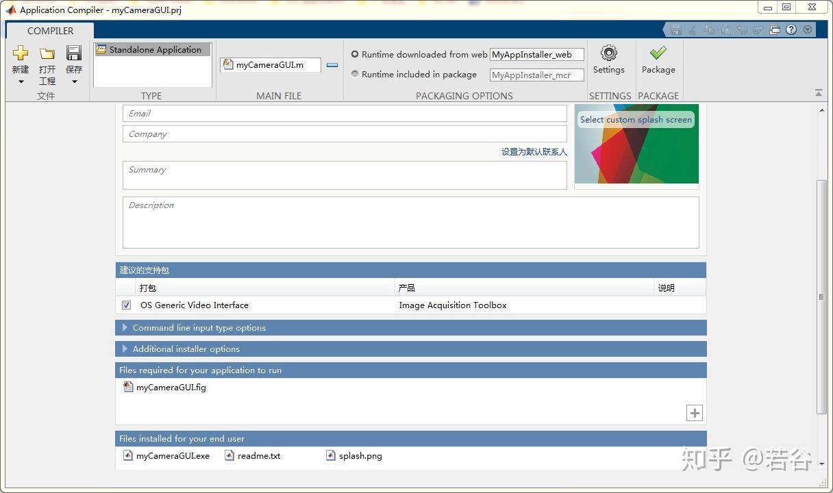
出现application Compiler 窗口,如下图
第二步:设置编译信息
在这里,可以设置多类信息:
A GUI程序信息
毕竟要为GUI程序,打包成.exe文件。需要GUI程序信息,包括GUI主程序,
B 软件信息
目标.exe文件的封面、作者联系信息、软件功能描述
C GUI程序的支持包
这是非常重要的支持信息。Matlab工具箱集合非常强大,便于程序开发,但是在打包过程中,也就需要把支持包,都要打包附带。
D 设置目标.exe文件打包后的存储路径
E 软件执行所依赖的所有文件和文件夹
第三步:设置打包方式
这里打包方式,取决于Matlab Runtime的来源设置。
A 来自Web
打包速度快,体积小。用户得到.exe文件后,安装时,需要下载Matlab runtime,占用时间。
B 打包者,下载,并入到打包后的文件中
打包速度慢,但是用户根据简单提示,就能安装使用.exe文件。
最后,点击Package,执行打包过程
执行完成之后,得到系统提示。
1 for_redistribution
2 ----MyAppInstaller_web.exe
3 for_redistribution_files_only
4 ----myCameraGUI.exe
5 ----readme.txt
6 ----splash.png
7 for_testing
8 ----mccExcludedFiles.log
9 ----myCameraGUI.exe
10 ----readme.txt
11 ----requiredMCRProducts.txt
12 ----splash.png
这是打包输出后的文件目录。
当用户电脑有对应版本的Matlab Runtime时,只需要运行 for_testing 文件夹中的文件。
如果没有,就需要for_redistribution文件夹中的文件,安装Matlab Runtime。
案例
第一个:基于USB镜头的实时影像获取与显示
编译方式: Web式打包
源代码:
1 function varargout = myCameraGUI(varargin)
2 gui_Singleton = 1;
3 gui_State = struct(\'gui_Name\', mfilename, ...
4 \'gui_Singleton\', gui_Singleton, ...
5 \'gui_OpeningFcn\', @myCameraGUI_OpeningFcn, ...
6 \'gui_OutputFcn\', @myCameraGUI_OutputFcn, ...
7 \'gui_LayoutFcn\', [] , ...
8 \'gui_Callback\', []);
9 if nargin && ischar(varargin{1})
10 gui_State.gui_Callback = str2func(varargin{1});
11 end
12
13 if nargout
14 [varargout{1:nargout}] = gui_mainfcn(gui_State, varargin{:});
15 else
16 gui_mainfcn(gui_State, varargin{:});
17 end
18
19 function myCameraGUI_OpeningFcn(hObject, eventdata, handles, varargin)
20
21 handles.output = hObject;
22
23 handles.video = videoinput(\'winvideo\', 1);
24 set(handles.video,\'TimerPeriod\', 0.05, ...
25 \'TimerFcn\',[\'if(~isempty(gco)),\'...
26 \'handles=guidata(gcf);\'... % Update handles
27 \'image(getsnapshot(handles.video));\'... % Get picture using GETSNAPSHOT and put it into axes using IMAGE
28 \'set(handles.cameraAxes,\'\'ytick\'\',[],\'\'xtick\'\',[]),\'... % Remove tickmarks and labels that are inserted when using IMAGE
29 \'else \'...
30 \'delete(imaqfind);\'... % Clean up - delete any image acquisition objects
31 \'end\']);
32 triggerconfig(handles.video,\'manual\');
33 handles.video.FramesPerTrigger = Inf; % Capture frames until we manually stop it
34
35 % Update handles structure
36 guidata(hObject, handles);
37
38 % UIWAIT makes mycameragui wait for user response (see UIRESUME)
39 uiwait(handles.myCameraGUI);
40
41
42 % --- Outputs from this function are returned to the command line.
43 function varargout = myCameraGUI_OutputFcn(hObject, eventdata, handles)
44 handles.output = hObject;
45 varargout{1} = handles.output;
46
47
48 % --- Executes on button press in startStopCamera.
49 function startStopCamera_Callback(hObject, eventdata, handles)
50 % Start/Stop Camera
51 if strcmp(get(handles.startStopCamera,\'String\'),\'Start Camera\')
52 % Camera is off. Change button string and start camera.
53 set(handles.startStopCamera,\'String\',\'Stop Camera\')
54 start(handles.video)
55 set(handles.startAcquisition,\'Enable\',\'on\');
56 set(handles.captureImage,\'Enable\',\'on\');
57
58 else
59 % Camera is on. Stop camera and change button string.
60 set(handles.startStopCamera,\'String\',\'Start Camera\')
61 stop(handles.video)
62 set(handles.startAcquisition,\'Enable\',\'off\');
63 set(handles.captureImage,\'Enable\',\'off\');
64 end
65
66 % --- Executes on button press in captureImage.
67 function captureImage_Callback(hObject, eventdata, handles)
68
69 frame = get(get(handles.cameraAxes,\'children\'),\'cdata\'); % The current displayed frame
70 save(\'testframe.mat\', \'frame\');
71 disp(\'Frame saved to file \'\'testframe.mat\'\'\');
72
73
74 % --- Executes on button press in startAcquisition.
75 function startAcquisition_Callback(hObject, eventdata, handles)
76 if strcmp(get(handles.startAcquisition,\'String\'),\'Start Acquisition\')
77 % Camera is not acquiring. Change button string and start acquisition.
78 set(handles.startAcquisition,\'String\',\'Stop Acquisition\');
79 trigger(handles.video);
80 else
81 % Camera is acquiring. Stop acquisition, save video data,
82 % and change button string.
83 stop(handles.video);
84 disp(\'Saving captured video...\');
85
86 videodata = getdata(handles.video);
87 save(\'testvideo.mat\', \'videodata\');
88 disp(\'Video saved to file \'\'testvideo.mat\'\'\');
89
90 start(handles.video); % Restart the camera
91 set(handles.startAcquisition,\'String\',\'Start Acquisition\');
92 end
93
94 % --- Executes when user attempts to close myCameraGUI.
95 function myCameraGUI_CloseRequestFcn(hObject, eventdata, handles)
96
97 delete(hObject);
98 delete(imaqfind);
第二个:Matlab计算器
编译方式:集成式打包
calculator本身只有2.5m,代码可能只有6k.但是打包后的文件,达到850M。
这是M语言的弊端。类似的状况有LabVIEW语言编程,想要打包成.exe,也产生一个体积巨大的安装包。
1 function varargout = calculator(varargin)
2
3 gui_Singleton = 1;
4 gui_State = struct(\'gui_Name\', mfilename, ...
5 \'gui_Singleton\', gui_Singleton, ...
6 \'gui_OpeningFcn\', @calculator_OpeningFcn, ...
7 \'gui_OutputFcn\', @calculator_OutputFcn, ...
8 \'gui_LayoutFcn\', [] , ...
9 \'gui_Callback\', []);
10 if nargin && ischar(varargin{1})
11 gui_State.gui_Callback = str2func(varargin{1});
12 end
13
14 if nargout
15 [varargout{1:nargout}] = gui_mainfcn(gui_State, varargin{:});
16 else
17 gui_mainfcn(gui_State, varargin{:});
18 end
19
20 function calculator_OpeningFcn(hObject, eventdata, handles, varargin)
21
22 handles.output = hObject;
23
24 % Update handles structure
25 guidata(hObject, handles);
26
27 % --- Outputs from this function are returned to the command line.
28 function varargout = calculator_OutputFcn(hObject, eventdata, handles)
29
30 varargout{1} = handles.output;
31
32
33
34 function edit1_Callback(hObject, eventdata, handles)
35
36 input1 = str2num(get(hObject,\'String\'));
37 if (isempty(input1))
38 set(hObject,\'String\',\'0\');
39 end
40 guidata(hObject,handles);
41
42
43 % --- Executes during object creation, after setting all properties.
44 function edit1_CreateFcn(hObject, eventdata, handles)
45
46 if ispc && isequal(get(hObject,\'BackgroundColor\'), get(0,\'defaultUicontrolBackgroundColor\'))
47 set(hObject,\'BackgroundColor\',\'white\');
48 end
49
50
51 function edit2_Callback(hObject, eventdata, handles)
52
53 input2 = str2num(get(hObject,\'String\'));
54 if (isempty(input2))
55 set(hObject,\'String\',\'0\');
56 end
57 guidata(hObject,handles);
58
59
60 % --- Executes during object creation, after setting all properties.
61 function edit2_CreateFcn(hObject, eventdata, handles)
62 if ispc && isequal(get(hObject,\'BackgroundColor\'), get(0,\'defaultUicontrolBackgroundColor\'))
63 set(hObject,\'BackgroundColor\',\'white\');
64 end
65
66
67
68 function answer_Callback(hObject, eventdata, handles)
69
70 function answer_CreateFcn(hObject, eventdata, handles)
71
72 if ispc && isequal(get(hObject,\'BackgroundColor\'), get(0,\'defaultUicontrolBackgroundColor\'))
73 set(hObject,\'BackgroundColor\',\'white\');
74 end
75
76
77 % --- Executes on button press in AddPushbutton.
78 function AddPushbutton_Callback(hObject, eventdata, handles)
79
80 input111 = get(handles.edit1,\'String\');
81 input222 = get(handles.edit2,\'String\');
82 total = str2num(input111) + str2num(input222)
83 c = num2str(total)
84
85 set(handles.answer,\'String\',c);
86 guidata(hObject,handles);
第三个:自动驾驶感知系统
https://u.wechat.com/MFl-TPiUT-Xb0P2U7aOxIZo (二维码自动识别)
智能USV实时感知系统是一套用于自动驾驶装备(无人车、船)智能感知的应用系统。其中,传感器硬件主要包括:camera * 6、stereo camera * 2、radar * 1、GPS、IMU、4G 通信。主要功能:实现对自动驾驶装备的架势环境进行实时感知,以辅助自动驾驶的控制决策,具体包括:GPS定位、车牌目标识别、汽车识别、雷达探测。目标属性有:ID、定位、距离、相对方位。
软件自2020.04.28开发。欢迎用户朋友,联系380545156@qq.com反馈意见,共同优化。
这个部分,就不提供代码了。欢迎交流。
注意事项
1.Matlab Runtime的下载
说实话,我现在还是没有安装独立的Matlab Runtime。在解决这个问题的过程中,花费了一天的时间,到最后还是没有解决。但是,通过其他方式,避免了Matlab Runtime的下载。
补充一下:Matlab Runtime已经成功下载。
2.编译时间
集成式打包时间,非常长。第一次编译,需要耐心。
3. 涉及到硬件的GUI程序的打包
目前,仅仅涉及到多个USB硬件的程序,打包后,安装使用过程,没有出现出错。其他同学,如果遇到问题,可以在此留言。






